Где лучше
Вне зависимости от сорта винограда, его саженцы необходимо размещать на солнечных участках. Так же стоит заранее позаботиться о том, чтобы саженцы были защищены от ветра
Стоит так же обратить внимание на тот факт, что виноград очень любит солнце, поэтому его лучи ему необходимы на протяжении всего дня
Самый подходящим грунтом для посадки винограда с оптимальным расстоянием между кустами является песчаный, либо супесчаный. Это обусловлено тем, что они позволяют проникать внутрь большому количество воздуха.
Учитывая этот нюанс, рекомендуется оборудовать в посадках дренажные канавы, чтобы избежать затопления и гибели посадок. Если это высокие деревья, то они должны располагаться на максимально допустимой протяженности, 3 метра.
Если высадка производится на склоне, необходимо высаживать поперек склона.
Расстояние между кустами винограда при посадке определяется, беря во внимание вышеперечисленные аспекты. Это позволит подобрать оптимальное расстояние
Расположение ям, оптимальное время года
Где лучше и как правильно сажать виноград на участке
Высаживать саженцы можно осенью и весной, кому как удобно. При этом процедура высадки отличаться не будет.
Первоначально выкопать яму, глубиной примерно 30 см, с диаметром в пол метра.
Далее в эту яму монтируется специальная трубка, которая будет выполнять функцию полива.
Когда трубка будет установлена, в яму выкладывается щебень, либо крошеный кирпич. Этот слой будет выполнять дренажную функцию.
Сверху выкладывается слой почвы
Обратите внимание, он должен быть взят из выкопанного гнезда. В том случае, если земля неприемлема для винограда, допускается замешать ее с песком
Когда он будет готов, в него помещают черенок.
В заключительном этапе яма окончательно засыпается оставшимся грунтом. Свежий саженец нужно полить, сверху выложить обильный слой мульчи. Он предотвратит большие потери влаги, защитит от сорняков и некоторых вредителей.
3500 кустов на гектар
Болезни клубники. практические советы
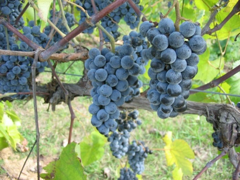
Виноградники во многих регионах возделывания высококачественного винограда (здесь — Александер Вэлли, Калифорния) устроены так, чтобы их можно было обрабатывать с помощью обычной техники. Число кустов колеблется от 2300 до 3500. Это означает, что кусты расположены на расстоянии 1,5 м, а ширина междурядий равна 1,9 м. В таких винодельческих хозяйствах производят хорошие и очень хорошие вина
Не только во Франции, но и в других регионах, где выращивается высококачественный виноград, виноградники засаживаются более тесно, чем раньше. В теплых регионах Средиземного моря, чтобы получить более качественный виноград, сейчас высаживают от 4500 до 6000 кустов. В некоторых старых виноградниках на Мозеле и Сааре, сохранившихся еще с тех времен, когда механизированной обработки еще не было, теперь высаживают от 8000 до 12 000 кустов на гектар. Ведь плотная посадка имеет свою традицию. Когда виноградники обрабатывали с помощью лошадей и мулов, на гектар приходилось порой до 20 000 кустов. В античные времена римляне высаживали на гектар даже до 35 000 кустов.
Посадка винограда
Как правильно варить минтай: советы и рекомендации
В современных виноградниках царит идеальный порядок. Ряды словно расчесаны под гребенку, точно рассчитано количество листьев. Но не все, что выглядит современно, улучшает качество вина. Виноградник должен быть разбит так, чтобы уход за ним не требовал больших затрат. В противном случае вино будет слишком дорогим.Виноград в наше время везде в мире выращивают как монокультуру. Лоза растет рядом с лозой, других растений в винограднике не терпят. Однако интенсивное виноградарство не обходится без проблем. Виноградники подвержены болезням и нападению вредителей, и растениям требуется серьезная защита. Правда, в таком виде виноградарство существует не так уж давно. В Медоке вплоть до XIX в. рядом с виноградом выращивали хлеб. В Средней Италии, особенно в Тоскане, до 1960 г. еще преобладало смешанное культивирование винограда: в междурядьях высеивали овес или пшеницу, а на пять кустов винограда приходилось по одному оливковому дереву. В качестве опоры для виноградной лозы частично использовались тутовые деревья или вязы. На Роне, Рейне и Адидже и сейчас среди виноградников растут фруктовые деревья. В Штирии и во Фриули между рядами лозы бегают куры и козы.
Планировка виноградника: плотность и размещение кустов
Посадки винограда следует располагать только на хорошо освещенных и прогреваемых солнцем участках — южных и юго-западных склонах. В зависимости от уклона можно обустраивать террасы различной ширины.
Для наклонных участков, чтобы избежать почвенной эрозии и разрушения склона, целесообразно расположение рядов поперек склона или по наклонной спирали.
На равнинных участках ряды винограда получают максимально возможную инсоляцию, будучи ориентированными в направлении «север-юг». Это не отменяет правила посадки с шириной междурядий 3,0 м.
При посадке у стен южной и юго-западной экспозиции (освещения) виноград вызревает раньше за счет образовавшегося микроклимата — отсутствия продувного ветра, прогрева днем и подогрева ночью (стена отдает накопленное тепло).
Частая ошибка начинающих виноградарей — посадка вперемешку саженцев укрывных и неукрывных сортов. У зимостойких растений надземная часть куста в разы больше — корневая система морозостойкого винограда требует большей площади для питания. Такие зимостойкие сорта можно удачно оформить даже на декоративных опорах типа «этажерка» или «зонтик» в отдельных участках сада.
Посадку саженца зимующего сорта около стены здания или хозяйственной постройки следует производить на расстоянии не менее 1 м.
- Подготовка посадочной ямы размером 1,0×1,0×1,0 м в любом случае требует соблюдения расстояния.
- Даже пристенный вариант посадки лозы предполагает размещение ее на шпалере, поскольку в зоне контакта виноградного куста и стены создается влажный микроклимат, который вредит и растению, и постройке.
Высаживать у здания несколько кустов винограда нецелесообразно. Гораздо проще методами формировки отвести кордон вдоль всего фасада и привить несколько сортов.
Промышленные посадки винограда предполагают глубокий плантаж почвы, установку системы капельного орошения, специальные конструкции шпалер. Инвестиции на много лет вперед окупаются при интенсивной технологии выращивания винограда. Непрекращающаяся в течение всего сезона формировка лоз позволяет сократить расстояние между кустами в ряду до 1,5 м, расстояние между рядами остается 3,0 м, минимальное для проезда техники.
Современный виноградник
Новые принципы выращивания винограда базируются на машинной технике, и смешанное культивирование исчезает из винодельческих регионов. Расстояние между рядами современного виноградника соответствует ширине колеи трактора. Ряды обычно спускаются со склона вертикально, чтобы тепло поднималось снизу вверх, или расположены поперек основного направления ветра, чтобы не выдувалось накопленное тепло. Высота проволоки, за которую цепляется лоза, соответствует желательной высоте лиственной части лоз: По величине лиственной части определяется максимальное количество гроздей. Точно рассчитывается, насколько глубоко в листве должны расти грозди (чтобы листва не затеняла ягоды), и на какой высоте, чтобы влажность почвы не могла привести к образованию плесени. Система выращивания, удобрение, выбор определенного сорта виноградника — все выверено математически точно, в соответствии с качественными и количественными задачами.
Типичные ошибки
В погоне за более высокими показателями урожайности виноградари стремятся вырастить лозу как можно большего размера, используя при этом очень высокие арки, беседки. Ухаживать за высокими шпалерами затруднительно, снижается качество и количество урожая. Ошибочным считается вертикальное крепление плодоносящей лозы на шпалере. При таком расположении лозы наблюдается активный рост побегов в верхней части ветви, в нижней части отростки растут слабо. При горизонтальном креплении лозы молодая поросль растет одинаково.
Схема посадки винограда – оптимальное расстояние между кустами и рядами. Для получения качественных результатов выращивания лозы необходимо подобрать планировку, подходящую для конкретного участка. Пересаживать кусты и менять расположение шпалер будет затруднительно.
Автор статьи Олейник Виктор Алексеевич Автор сайта. Занимается виноделие более 20 лет. Имеет больше 50 соток виноградника. Написано статей 453
Возможно вам будет интересно посмотреть и другие статьи
Особенности посадки винограда черенками весной Читать Идеальное место – где лучше посадить виноград на участке? Читать Размножении винограда черенками дома Читать Как делать прививку винограда черное в черное? Читать Как привить виноград по временам года Читать Особенности прививки винограда весной Читать Кишмиш лучистый Читать Заря несветая Читать Румба Читать
Посадка винограда осенью
Осенняя посадка винограда выполняется с начала октября до замерзания грунта по тому же принципу и по той же схеме, что и весенняя. Единственная разница в том, что перед наступлением зимы молодое растение высоко окучивают землей, укрывают хвоей, а приствольный круг застилают опилками или торфом. Не сажайте виноград в только что приготовленную яму, дайте земле устояться хотя бы 2-3 недели: при оседании грунт не только утащит саженец за собой в глубину, но и порвет его корни.
Если вам не жаль посадочного материала, рискните воспользоваться этим упрощенным способом и напишите нам, что у вас получилось.
Проращивание черенков
В феврале черенки достают из подвала или холодильника и помещают на сутки в воду целиком. Низ обрезают горизонтально на 0,5 см ниже почки, верх – наискосок на 2-3 см выше почки. На нижней части черенка иголкой можно процарапать несколько вертикальных бороздок в коре, из которых потом появятся корни. Если нет опыта работы с виноградом, это делать необязательно. Для стимуляции корнеобразования рекомендуют подержать черенки сутки в растворе гетероауксина (1 таблетка на 0,5 л воды) или мёда и алоэ (1 столовая ложка и несколько капель на 1 л воды). Но и без этого они хорошо укореняются.
Как посадить виноград в виде черенка с корнями? Когда корни вырастут до 1-2 см, можно посадить черенки в обрезанные пластиковые бутылки 1,5 литра. Внизу нужно сделать отверстия и насыпать дренаж, заполнить бутылку универсальным грунтом и посадить черенок немного наискосок так, чтобы 2 почки были под землёй. Высаживать в грунт виноград нужно в начале-середине мая.
-
Можно проращивать черенки в домашних условиях сразу в пластиковых бутылках. Этот способ больше подходит для опытных садоводов или для садоводов, у которых есть запас черенков. Нужно знать, как правильно посадить виноград черенками. Обработанные указанным способом черенки в начале весны не помещают в банки, а сажают сразу в пластиковые бутылки. Смесь может состоять из земли и перегноя, можно добавлять старые опилки.
- Можно попробовать укоренить черенки в открытом грунте. Лучше приживаются только что срезанные ранней весной черенки. Но весной обрезать виноград нежелательно: он начинает «плакать» и может даже засохнуть.
Как покупать посадочный материал?
- Убедитесь, что вы покупаете виноградные лозы в зарекомендовавшем себя питомнике. Ознакомьтесь отзывами других садоводов о нем.
- Лучше всего подходят сильнорослые однолетние растения. Маленькие, иногда более слабые, однолетние растения часто оставляются для выращивания еще на один год, а затем продаются как двухлетние растения. Если вам известно об этом, избегайте покупать лозы в таком питомнике.
Мнение эксперта
Ольга Николаевна Гриценко
дачник из Москвы, автор четырёх книг по садоводству
По возможности приобретайте сертифицированный товар, который гарантированно не содержит вирусов.
Расстояние между кустами для промышленных сортов
Садиться рядами промышленные или домашние сорта. С саженцами и их подготовкой не возникает лишних проблем, а вот в расстоянии кустов друг от друга происходят существенные изменения. Производственные виноградники отличаются способом полива и обработки. Должный уход за лозами обеспечивается автоматизированными поливными и удобрительными установками. В таких условиях расположение кустов отличается от того, что можно увидеть в частном секторе. Более стесненное место посадки и схема полива не идут вразрез с качеством урожая. Посаженый виноградник рядами с саженцами различных сортов приносит постоянную прибыль.
С не привитыми лозами обходятся просто. Располагаются кусты через метр от соседнего саженца. Больший прирост промышленным сортам обеспечивает своевременный полив и удобрение грунта. Плодоносная почва уменьшает промежутки от одного саженка к другому. В промышленных условиях для уменьшения засаженных площадей без вреда для культуры используют специальные устройства и опоры. Шпалера с обвитыми лозами позволяет винограднику пускаться в рост наверх, а не по сторонам. Для расчета расстояния между кустами не понадобится особых знаний в селекции, если высадка винограда проводится в домашних условиях.
Варианты посадки
Специальную опору, которую организуют для крепления и распределения побегов винограда, называют шпалера. Ее конструкция будет очень важна при расчете расстояния между кустами винограда.
Нужно брать в расчет то, что для правильного развития куста оставляют в среднем около тридцати зеленых побегов. Рекомендуется не допускать сплетения соседних кустов, так как это приведет к чрезмерному загущению и в следствии уменьшению правильного распределения солнечного света.
Оптимальное расстояние между кустами винограда при посадке определяется исходя из того, что отростки не должны быть ближе двенадцати сантиметров друг от друга. Идеальным расстоянием между ними будет пятнадцать сантиметров.
Это позволит лозам максимально эффективно проветриваться и получать в достатке, жизненно необходимого для них, солнечный свет. Также такие промежутки помешают распространяться болезням и вредителям в случае их появления.
При посадке винограда расстояние между кустами рассчитать можно заранее, определившись с конструкцией шпалеры, которые бывают двух видов: одно- и двухплоскостные.
Их отличие заключается в том, что на одноплоскостной шпалере виноградные побеги фиксируются в одной плоскости, на двухплоскостной в двух. Преимуществом разделения побегов на две плоскости является возможность одновременного развития гораздо большего количества побегов.
Выбор места
При выборе подходящего места для виноградных лоз на участке необходимо обеспечить постоянное естественное освещение саженцев. Также место должно быть ограждено от сквозных ветров с северной стороны. Посадить виноград можно рядом с постройками, которые выступят в качестве защиты от продувания.
Если рядом отсутствуют подходящие постройки, можно соорудить забор для ограждения кустов. В качестве ограды подойдет экран из досок темного цвета. Забор создаст защиту от сквозняков и, нагреваясь от солнечных лучей, отдаст тепло растениям.
В большинстве случаев следует размещать виноград с укрытием у южной стены, но такое место подходит не для всех местностей. В северо-западных регионах страны земля медленно прогревается и не содержит большого количества органических веществ, поэтому лучше разместить саженцы на западной либо юго-западной стороне, защитив насаждения укрывным материалом.
Рекомендации по разбивке виноградника
Культура предпочитает солнце и тепло. Желательно расположить виноград с южной или юго-западной стороны на небольшом склоне или ровной поверхности. Такое место лучше всего прогревается, полноценно освещается. Хорошо, когда высокие деревья или строения закрывают участок с севера, чтобы созревающему урожаю не вредили сильные холодные ветра.
Не должно быть подтопления дождевыми или грунтовыми водами. Почва требуется рыхлая, пропускающая воду и воздух. Корни винограда уходят вглубь посадочной ямы на расстояние до 8 м, поэтому способны добывать влагу самостоятельно. На супесях культура болеет реже, чем на плотном черноземе. При этом плодородие почвы благотворно отражается на урожайности.
При подборе сортов необходимо учитывать опытность виноградаря, климатическую зону, вид шпалеры
Перед приобретением саженца важно уточнить устойчивость к заболеваниям, зимостойкость, сроки созревания урожая, размер, массу гроздей. Желательно остановиться на обоеполой разновидности, поскольку в противном случае необходимо чередовать мужские и женские экземпляры, чтобы происходило опыление и ягоды не горошились
Важно учитывать сроки созревания подобранных разновидностей. В Средней полосе России среднеспелый и поздний виноград не успевает дозревать из-за недостаточного количества теплых дней
Сорта, не требующие укрытия на зиму, допустимо высаживать возле беседок, стены дома, хозяйственных построек. Начинающим виноградарям рекомендуется выбирать морозоустойчивый виноград. При этом следует учитывать необходимость обрезки лозы, формовки урожая. Для каждой разновидности рассчитано определенное количество глазков, которое куст способен выдержать без потери урожаем товарности.
Посадка черенков в открытый грунт
Как рассчитать расстояние между двумя кустами? Виноградарю с опытом посадки собственного виноградника или новичку нужно учитывать, что планировка посадки касается не только длины посаженого ряда, но и расстояния между отдельными кустами
Почему так важно обустраивать чубуки на определенной разграниченной площади? Расстояние между кустами влияет на технические и хозяйственные показатели винограда. Исправить допущенные во время посадки ошибки трудно, а то и вовсе невозможно
Неправильное расположение саженцев, которые разрастаются, вредит не только винограду, но и соседним культурам в саду или на земельном участке. При посадке заранее учитывается густота будущего виноградника.
Опытные виноградари целенаправленно воздействуют на качество и количество урожая. Простые манипуляции значительно экономят время для ухода за кустами, и увеличивают плодоносность всего винограда. В последние годы среди селекционеров все большей популярности взыскала теория зависимости количества урожая от двух показателей виноградника – количества глазков на кусте и месторасположения кустов. Максимальная сила роста достигается благодаря своевременной обрезке лозы и правильной посадки чубуков. Как правильно растить виноград для большого урожая? Сила роста кустов зависит от следующих факторов:
- расположение каждого саженца;
- обрезка;
- сорт винограда;
- удобрение и полив.
Лучше всего пускается в рост виноград, растущий последовательно высаженными кустами. Сажать лозу рекомендуется на хорошо удобренную почву с подготовленными увлажненными ямками. Как правильно рассаживать чубуки?
https://youtube.com/watch?v=JkfICZCl1pk
https://youtube.com/watch?v=7ZBmGPM2jGs
Подготовка почвы
Как мы уже упомянули, виноград лучше всего растёт на чернозёме, глинистых и песчаных почвах. Подготовка грунта должна начаться хотя бы за две недели до высадки винограда, чтобы почва успела устояться, уплотниться, а минералы и удобрения смогли распределиться по ней более-менее равномерно. Если посадку решено проводить весной, нужно озаботиться подготовкой почвы ещё осенью.
Итак, выделим порядок действий при подготовке почвы для посадки винограда:
- Перекопать почву, вне зависимости от её состава.
- Внести удобрения, учитывая особенности грунта и потребности выбранного сорта.
- Внести дополнительные компоненты — песок для почв с низкой степенью аэрации, а для сухих и неплодородных — перегной, торф или навоз.
- Подготовить ямы для посадки винограда, дно которых можно заранее усыпать дренажным слоем.
Как определить оптимальное расстояние между саженцами и рядами
Схема посадки винограда готовится заранее. Пересадку культура переносит плохо, поэтому исправить проблему можно будет только сменой формировки кустиков, изменением конструкции шпалеры или прививкой нового вида. Необходимо учитывать множество факторов, оказывающих влияние на размер зрелых растений. На расстояние для саженцев винограда непосредственно влияют:
- сортовая принадлежность;
- тип шпалеры;
- климатические и погодные условия региона;
- способ получения саженца – высадка черенков или прививка;
- качество и структура грунта;
- количество посадочного материала.
Шпалера может быть одноплоскостной или двухплоскостной:
- На одноплоскостной все развивающиеся побеги располагают на одной поверхности. Определить, какое место займет куст, можно только выбрав расстояние между веточками. Минимальным, но самым неудобным считается 10 см, чаще оставляют около 12 см. Далее необходимо продумать, сколько побегов останется на кусте. Если 30 шт., то при расстоянии 12 см придется соорудить шпалеру длиной 3,5 м. Между виноградными кустиками следует оставить аналогичное значение. Ширина междурядий зависит от высоты конструкции, в среднем — 2 м. Для сильнорослых экземпляров — 4-5 метров друг от друга. При таком расстоянии соседние ряды не затеняют друг друга.
- При двухплоскостной шпалере есть возможность увеличить количество побегов и сократить промежуток между кустами. Подобные конструкции можно использовать только при расположении рядов с севера на юг. Только так получится добиться хорошей освещенностей для всех побегов. Несмотря на возможность сократить расстояние между соседними растениями, рекомендуется оставить интервал не менее 2 м, чтобы площадь питания была достаточной для корневой системы. Минимально возможное расстояние при посадке между кустами винограда – 1,2 м, подходит для невысоких разновидностей культуры. Идеальным для большинства считается 3-3,5 м между рядами и кустиками.
Подготовка и планировка участка
Виноград нужно удобрять, часто поливать и ухаживать за каждым кустом. Подготовку рассады начинают еще зимой. Необходимо увлажнить чубуки и хранить в затененном месте.
С наступлением весны необходимо подготовить почву. Дистанция между черенками должна быть достаточной для поступления влаги и прохождения воздуха. Это актуально для всех кустарных ягодных растений.
Например, расстояние между кустами смородины при посадке необходимо определять с учетом удобства обслуживания кустов и сбора ягод. Аналогично и с виноградом. Кусты не должны друг другу мешать.
Причем если взрослый куст смородины относительно небольшой, то виноград разрастается намного больше, что следует обязательно учитывать.
Рост винограда будет происходить намного активнее при наличии достаточно большого свободного пространства между чубуками.
Высаживая виноград, следует учитывать расположение участка относительно сторон света. Виноград должен находиться на солнечной стороне. Также необходимо обеспечить свободное прохождение свежего воздуха для проветривания и питания кустов. Стоит подумать и об удобстве ухода, и сбора урожая.
Особенности посадки саженца винограда весной
При посадке винограда весной важно учесть:
Погодные условия. Высадку не начинают раньше, чем установится благоприятная погода.
Вид корневой системы. Различают два варианта:Закрытые корни.Посадку можно начинать, как только температура воздуха и почвы будут соответствовать требованиям.
Открытые
Следует более осторожно подходить к посадке – такой виноград активно реагирует на низкие температуры и любые изменения внешней среды. Эти саженцы высаживают позднее, чем аналоги с закрытыми корнями.
Вид посадочного материала
Существуют разные виды саженцев, для каждого из которых характерны свои нюансы посадки.
Советы
Очень редко можно встретить людей, которые культивируют только виноград. Как правило, он соседствует с какими-либо другими культурами. Стоит понимать, что он способен ужиться далеко не со всеми видами и представителями. Об это нужно позаботиться заранее, если есть желание выращивать рядом что-то еще.
Опыт показывает, что в качестве хороших соседей может быть выращивание бобов, различных аналогичных растений. Почти все виды овощей, произрастающие вблизи с виноградом, не дают ему нормально развиваться и расти. Своей корневой системой они способны подавлять другие корни, перекрывая доступ к питательным веществам
Варианты схем
При выборе расстояния между саженцами в ряду нужно определиться с длиной шпалеры, к которой будут прикреплены зеленые побеги одного куста. На каждый куст рекомендуется делать нагрузку в среднем из 30 зеленых побегов.
Расчет расстояния между рядами винограда
Молодые отростки столовых сортов винограда размещают на шпалере на расстоянии не меньше 12 см. Нельзя допускать сильного загущения, так как побеги создадут тень друг для друга и будут слабо проветриваться.
Растущие гроздья винограда находятся приблизительно на одинаковой высоте на плоскости шпалеры. Если оставить небольшое расстояние между побегами, крупные гроздья будут ложиться на соседние ягоды. При плотной посадке возникает риск появления болезней и вредителей. Оптимальное расстояние между побегами составляет 15 см. Виноградари рекомендуют при вычислении размеров посадочной схемы учитывать расстояние между отростками 12 см.
Шпалеры бывают двух видов – одноплоскостные и двухплоскостные.
На одноплоскостной шпалере зеленые побеги каждого куста зафиксированы на одной плоскости. При применении двухплоскостной шпалеры поросль одного куста располагают на двух плоскостях. Соответственно, при одинаковом расстоянии между кустами в ряду, на двухплоскостной шпалере зеленых побегов с кистями винограда выращивается в два раза больше, нагрузка на каждый куст также увеличивается в 2 раза.
Для одноплоскостной шпалеры
Схема для однополосных шпалер высотой 2 м предназначена для размещения всех развивающихся отростков на одной плоскости. Чтобы подсчитать длину крепления, необходимо определиться с расстоянием между побегами.
Рекомендуемый промежуток составляет 12 см. На каждом кусте оставляют 30 отростков. Следовательно, длина участка шпалеры при этом составляет 360 см. Соответственно, промежуток между виноградными кустами в ряду тоже составляет 3,6 м.
Так как высота шпалеры составляет 2 м, то и между рядами оставляют 2 м, при этом каждый ряд не будет затемнять соседний.
Применение одноплоскостных шпалер дает возможность установить их в любом направлении, даже на наклонных поверхностях. Одноплоскостные крепления хороши тем, что их можно устанавливать в любом направлении, саженцы в любом случае не затемняют друг друга.
Для двухплоскостной опоры
Схема посадки при двухплоскостной шпалере. Применение двухплоскостной опоры дает возможность увеличить в 2 раза число отростков, так как их укрепляют на двух шпалерах. Формируют ряды в направлении с севера на юг для обеспечения достаточного освещения саженцев.
Так как ветви расположены на двух опорах, становится возможным сокращение расстояния между саженцами. Но для достаточной площади выращивания промежуток оставляют не менее 2 метров между кустами. При применении двойной конструкции крепления необходимо увеличить до 250 см промежуток между рядами. Это позволяет сохранить необходимую площадь питания .виноградной лозы, составляющую 5 квадратных метров.
Для горизонтальных арок
На некоторых участках для задействования максимальной площади для выращивания винограда применяют горизонтальные конструкции или арки. На таких креплениях удобно выращивать устойчивый перед морозами и заболеваниями, не требующий особого ухода виноград.
Виноград на арке
Горизонтальная конструкция состоит из вертикальной и горизонтальной плоскости. На горизонтальной шпалере лоза хорошо прогревается на солнце. Высота арки не должна превышать 250 см, так как все работы по уходу за лозой осуществляются с помощью лестницы.
Расстояние между отростками саженцев винограда оставляют 13-15 см. Ветви фиксируют параллельно друг к другу, формировку кустов делают так, чтобы отростки росли в одном направлении. Молодые побеги растут вертикально вверх, пригнуть и закрепить их без обламывания тяжело, поэтому фиксировать их рекомендуется на 25-30 см ниже уровня горизонтальной поверхности.
Уплотненное выращивание
Для того чтобы одновременно посадить и выращивать несколько сортов винограда, применяют уплотненную посадку. Такой способ позволит испытать и откорректировать сорта на винограднике. Плотную высадку производят путем уменьшения пространства между саженцами в ряду. При этом применяют двухплоскостную конструкцию. Между саженцами оставляют расстояние 250 см, надземная часть лозы располагается на креплении по горизонтали 125 см в 1 сторону и столько же в другую от центра роста.
Посадка саженцев винограда в зависимости от региона выращивания
Сложности выращивания винограда на большей территории РФ связаны с холодом. Особенно опасны низкие зимние температуры. Когда-то в Сибири и на Урале выращивание винограда было невозможным. Сегодня есть районированные сорта, которые благополучно выращиваются в этих регионах, а также в Ленинградской области.
При посадке винограда приходится учитывать особенности климата:
- Средняя полоса. Высаживают морозостойкие и неприхотливые сорта. Рекомендуется брать для посадки раннеспелый виноград – это особенно актуально для садоводов-новичков.
- Сибирь, Урал, Ленинградская область. Высаживают только районированные сорта – «Сибирскую Черемушку», «Буратино», «Загадку» и другие. Если взять нерайонированные сорта, они просто не успеют вызреть. В этих регионах рекомендуется именно весенняя посадка – у саженцев будет больше шансов благополучно прижиться, вырасти и дать плоды.
- Крым. Саженцы можно высаживать на глубину 30-40 см – теплый климат позволяет. В Крыму весенняя посадка уступает по эффективности осенней.
Выбираем наилучшее место и сорт винограда
Виноград очень любит солнце, поэтому идеальным местом для его выращивания станет южная сторона дома или приусадебного участка, защищенная от ветра, с рыхлой дренированной почвой. Если на участке с будущими виноградными кустами имеется небольшой уклон, то старайтесь высаживать их ближе к южному или юго-западному склону. Если же место на южной части вашего участка или дома полностью занято, тогда создайте для винограда удобные условия. Например, постройте небольшой сплошной забор, высотой около 2 м, по направлению восток-запад. Также неплохим вариантом станут и плотные изгороди или ширмы. Их можно изготовить из подручных средств, в качестве которых предлагается использовать лозу или камыш.
Сорт винограда Краса Никополя
Если вы только начинаете выращивать виноград, то лучше всего перестраховаться и выбрать морозостойкие сорта. Так вы будете уверены, что ваше растение переживет даже самую суровую зиму, ведь подобные сорта способны выдерживать температуру до -30 градусов и даже выше, а также они весьма устойчивы к болезням и вредителям. Впрочем, таком сорте винограда часто останавливаются и опытные садоводы, это достаточно удобно. Особенно это касается дачников северной части страны. Они отдают предпочтение ранним морозостойким сортам. Однако в данном случае также стоит определить цель, для которой вы собирайтесь выращивать виноград – для еды, сока, вина или просто как украшение. И здесь вам скучать не придётся, ведь на данный момент существует около 15 000 видов.
Для столового выращивания начинающим садоводам можно посоветовать такие неприхотливые сорта, как Агат Донской, Юбилейный Новгорода и Алешинькин. Среди универсальных сортов выделяются Кристалл, Платовский, Краса Никополя. А вот для любителей раннего и сверхраннего винограда подойдут Лиепайский Янтарь, Ранний Циравский. В виноградном арсенале также необходимо иметь и сорт Краса Севера, богатый большим количеством фосфорной кислоты, необычайно полезной для нашего организма. Однако помните, не стоит выбирать слишком много разновидностей винограда. Для начала вполне будет достаточно 4-5 сортов.
Обработка заготовок для черенков перед проращиванием
Для того чтобы увеличить шансы на успешное проращивание, рекомендуется для начала правильно обработать имеющиеся черенки. Первым делом, посадочный материал стоит тщательно обработать для защиты от инфекционных заболеваний. Для этих целей используется слабый раствор марганцовокислого калия. После подобной обработки следует смыть марганцовку при помощи чистой, тепловатой воды. Затем следует срезать концы черенков. Аккуратно, при помощи садовых ножниц, снимается по одному сантиметру с нижнего и верхнего конца заготовки. При этом верхнюю часть рекомендуется срезать под углом. А затем надо провести предварительное проращивание.
Его несложно будет сделать в домашних условиях. Для начала следует подготовить раствор, для стимулирования роста растений. Можно использовать покупные стимуляторы роста, которые применяются на садовых культурах. А можно сделать слабый раствор натурального меда, либо добавить в воду выжимку из побегов алоэ. Эти натуральные вещества прекрасно подходят для ускорения роста растений. Черенки надо будет выдержать в подготовленном стимуляторе в течение 46-48 часов. Этого времени будет достаточно, чтобы затем нормально высадить их в почву для дальнейшего выращивания.
https://youtube.com/watch?v=OgS8kzz-9kQ
Как посадить виноград весной (посадка саженцев черенков винограда, как правильно сажать виноград)
КОГДА НАЧИНАТЬ ПРОРАЩИВАНИЕ ЧЕРЕНКОВ ВИНОГРАДА
Виноград Проращивание черенков в воде
Как и когда заготавливать черенки винограда
Как и когда укоренять черенки винограда?
Перед помещением в стимулятор надо провести дополнительные приготовления для появления корней. Для этого в нижней части каждой заготовки делаются борозды на древесине. Здесь начнет образовываться каллус, из которого затем вырастет корневая система. А когда отрезки лозы будут вытащены из раствора, верхнюю часть каждого из них следует смазать каким-либо составом наподобие садового вара. Ведь при посадке эта часть будет находиться на воздухе. И через нее внутрь сможет проникнуть та или иная инфекция.
Традиционная схема
Существует стандартный вариант оформление посадки.
- Диаметр посадочной ямы – 0,5 метра, глубина варьируется от 30 до 40 сантиметров.
- В каждой лунке размещают трубку для орошения.
- Толщина дренажного слоя – от 10 до 15 сантиметров. Можно использовать битый кирпич, щебень или маленькие камни.
- Поверх него насыпают слой плодородного грунта, который был выкопан из посадочной ямы. Если земля на участке тяжелая, ее смешивают с небольшим количеством песка. Сюда же вбивают колышек.
- Между кустарниками оставляют промежуток в 1,5-3 метра в зависимости от пышности кустарника.
- Посадочную яму до краев засыпают оставшейся почвой. Молодое растение поливают большим количеством воды. Для сохранения влаги и защиты от сорных растений поверх укладывают слой мульчи из органического сырья (опилки, хвоя, щепки и прочие варианты).











































